Actualités étranger
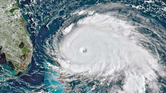
Dorian : un ouragan d'une puissance extrême
Le point sur l'évolution de l'ouragan Dorian qui vient d'être rétrogradé en catégorie 4 sur 5 mais reste extrêmement puissant et menace la Floride.
Partagez cet article
À voir aussi
-
Tendance météo à 4 semaines (début Décembre à début Janvier)
-
Submersion : fortes vagues sur la côte atlantique
-
Douceur exceptionnelle : quelles conséquences en montagne à trois semaines de Noël ?
-
Jusqu'à plus de 20°C : douceur exceptionnelle en France dès ce dimanche
-
La neige en montagne va t'elle tenir jusqu'à Noël ?