Actualités étranger

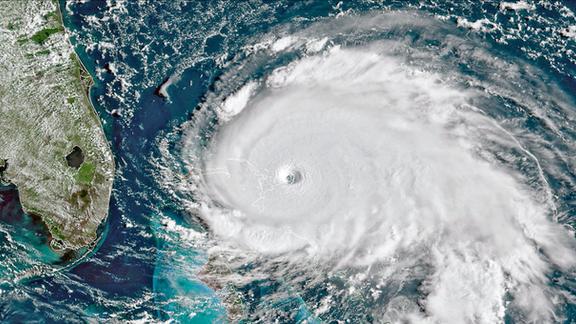
Ouragan Dorian : le monstre ralentit sa course sur les Bahamas

Par La Chaîne Météo
mis à jour le

Le point sur la situation concernant l'ouragan Dorian avec notre météorologue Cyrille Duchesne.  
Partagez cet article
À voir aussi